El huracán Melissa, actualmente de categoría 5 en la escala Saffir-Simpson, se aproxima al oriente del país con vientos sostenidos superiores a los 260 kilómetros por hora y fuertes precipitaciones. Las autoridades mantienen un monitoreo constante sobre su trayectoria y posibles impactos en las próximas horas.
En este minuto a minuto, Cubadebate ofrece información actualizada en tiempo real sobre el avance del fenómeno, las medidas adoptadas por las autoridades, el trabajo de las instituciones de emergencia y los reportes desde las provincias más afectadas.
Sigue nuestra cobertura especial a través de todas las plataformas digitales —sitio web, Telegram, Facebook, X y canal de WhatsApp— para mantenerte informado con datos oficiales, imágenes, videos y análisis de la situación en todo el territorio nacional.

11:14 – Melissa gana más en intensidad
Melissa incrementa sus vientos máximos sostenidos a 270 km/h y su presión central desciende a 908 hPa.
A las 11:00 AM EDT (1500 UTC), el centro del Huracán Melissa se localizó cerca de la latitud 16.4 Norte, longitud 78.2 Oeste. Melissa se está moviendo hacia el oeste cerca de 3 mph (6 km/h). Se espera un giro lento hacia el noroeste y norte más tarde hoy, seguido de un giro hacia el noreste y una velocidad de avance más rápida el martes.
10:59 – Se priorizará la disponibilidad de energía existente en el país para la región Oriental
La Unión Eléctrica informó en su perfil de Facebook que por la cercanía del potente huracán Melisa, se decidió priorizar con la disponibilidad de energía existente en el país a la región Oriental de Cuba poder asegurar una mejor preparación de la población para enfrentar el evento meteorológico, por lo que el resto de las provincias tendrán una mayor afectación.
10:47 – Granma: Alivian presas ante la llegada de Melissa
La Presa Cauto El Paso se encuentra desembalsando más de 900 metros cúbicos de agua por segundos como medida de prevención hidrológica para asimilar las lluvias del huracán Melissa.
10:31 – Melissa sigue intensificándose: Presión mínima desciende a 910 hPa
El Insmet informa en su página de Facebook que Melissa no se detiene y busca dejar una huella en la historia como uno de los huracanes más intensos. Un avión de reconocimiento ha detectado que el huracán sigue fortaleciéndose, con una presión que continúa descendiendo hasta los 910 hPa. “Es realmente asombroso, pero al mismo tiempo, extremadamente mortal”.
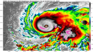
10:16 – Increíble: Intensa actividad de relámpagos dentro de la pared del ojo de Melissa
Satélite meteorológico detecta esta mañana una intensa actividad de relámpagos dentro de la pared del ojo del huracán Melissa(Categoría 5) mientras se aproxima al sur de Jamaica, comenta en Facebook el meteorólogo cubano, Henry Delgado.
Esta animación contiene los productos GeoColor y densidad de energía de grupo (GLM) del satélite meteorológico GOES-19. Se extiende el período de tres horas de 09:21 UTC a 12:00 UTC del 27 de octubre de 2025.
Tomado de Cubadebate
